Capital Management
949-272-0410
info@skycapmgmt.com
ABOUT
TEAM
CONTACT
REAL ESTATE
CUSTER COMMONS LP
Tesla Associates
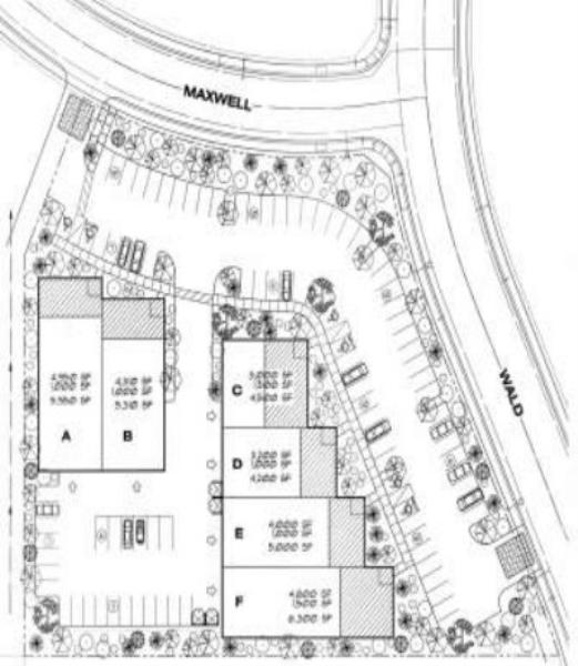
FAITH-MAXWELL BUSINESS PARK
At Box Technology / Bestwill Corporation
Tesla Technology Center
WATERWORKS BUSINESS PARK
OAK CANYON 712
PASSAGE TO ASIA
HASHI LINK CORPORATION
Technology
Anvita Health
Autofusion
Interpreta
Zeptor
Hello Nurse
EdiSun
FAITH-MAXWELL BUSINESS PARK
Wald/Maxwell, Irvine, California (31,000 S.F. Office/Warehouse)